W ramach naszej witryny stosujemy pliki cookies w celu świadczenia Państwu usług na najwyższym poziomie, w tym w sposób dostosowany do indywidualnych potrzeb. Korzystanie z witryny bez zmiany ustawień dotyczących cookies oznacza, że będą one zamieszczane w Państwa urządzeniu końcowym. Możecie Państwo dokonać w każdym czasie zmiany ustawień dotyczących cookies. Więcej szczegółów w naszej Polityce Cookies.

Zamknij
Strona główna  >  Uchwały  >  Rady Gminy Rozprza  >  2011
2014  |  2013  |  2012  |  2011  |  2010  |  2009  |  2008  |  2007  |  2006  |  2005  |  2004  |  2003  |  2002


Uchwała nr IV/22/2011
Rady Gminy w Rozprzy
z dnia 25 lutego 2011

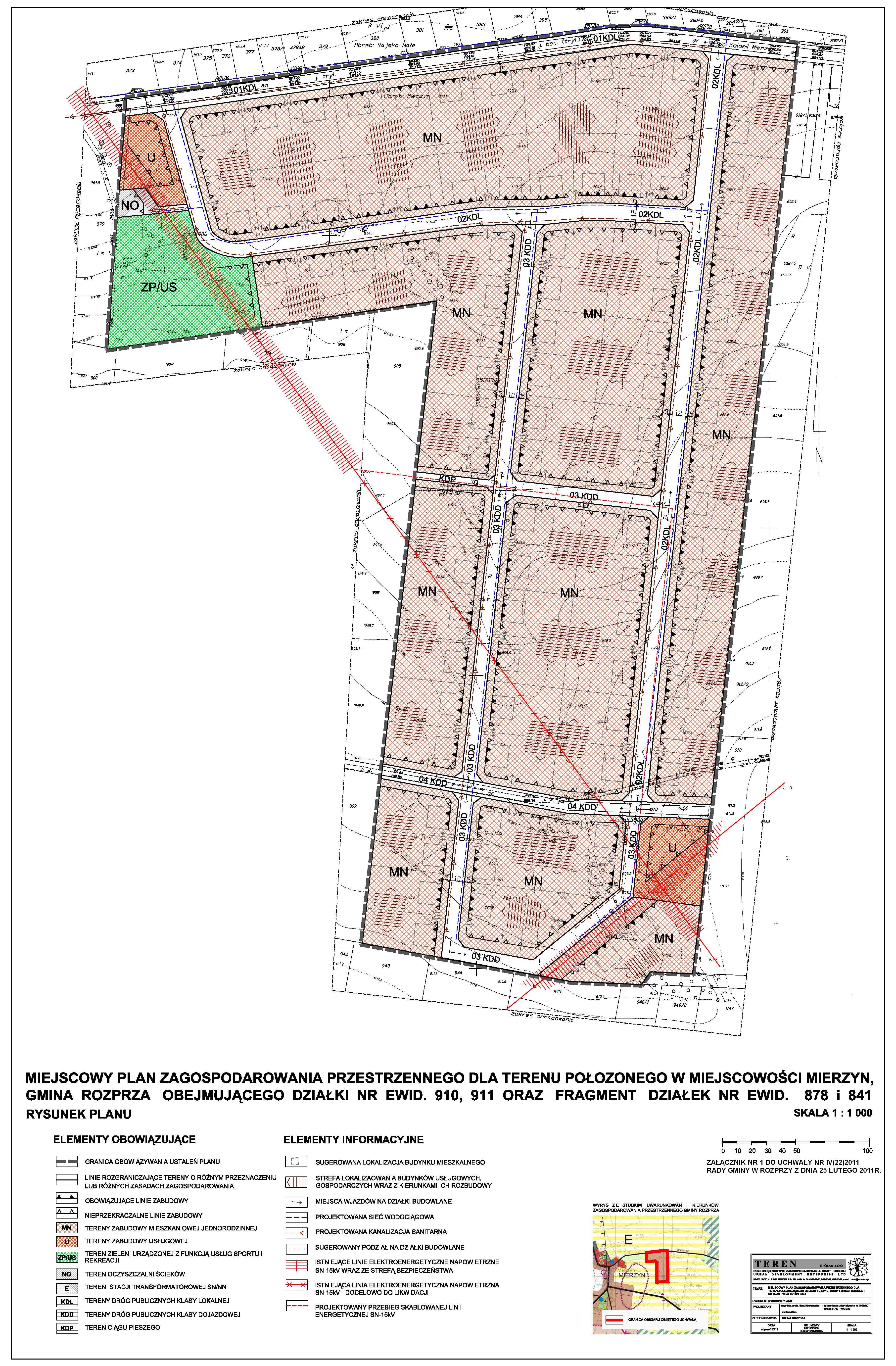
w sprawie uchwalenia miejscowego planu zagospodarowania przestrzennego dla terenu położonego w miejscowości Mierzyn, gmina Rozprza, obejmującego działki nr ewid. 910, 911 oraz fragment działek nr ewid. 878 i 841.

Na podstawie art. 18 ust. 2 pkt 5 ustawy z dnia 8 marca 1990 roku o samorządzie gminnym (tekst jednolity: Dz. U. z 2001 r. Nr 142, poz. 1591, z 2002 r. Nr 23, poz. 220, Nr 62, poz. 558, Nr 113, poz. 984, Nr 153, poz. 1271, Nr 214, poz. 1806, z 2003 r. Nr 80, poz. 717, Nr 162, poz. 1568, z 2004 r. Nr 102, poz. 1055, Nr 116, poz. 1203, Nr 167, poz. 1759, z 2005 r. Nr 172, poz. 1441, Nr 175, poz. 1457, z 2006 r. Nr 17, poz. 128, Nr 181, poz. 1337, z 2007 r. Nr 48, poz. 327, Nr 138, poz. 974, Nr 173, poz. 1218, z 2008 r. Nr 180, poz. 1111, Nr 223, poz. 1458, z 2009 r. Nr 52, poz. 420, Nr 157, poz. 1241, z 2010 r. Nr 28 poz. 142, Nr 28 poz. 146, Nr 106 poz. 675), art. 20 ustawy z dnia 27 marca 2003 roku o planowaniu i zagospodarowaniu przestrzennym (Dz. U. z 2003 r. Nr 80, poz. 717; z 2004 r. Nr 6, poz. 41 i Nr 141, poz. 1492; z 2005 r. Nr 113, poz. 954 i Nr 130, poz. 1087; z 2006 r. Nr 45, poz. 319 i Nr 225, poz. 1635; z 2007 r. Nr 127, poz. 880; z 2008 r. Nr 199, poz. 1227, Nr 201 poz. 1237, z 2009 r. Nr 220, poz. 1413; z 2010 r. Nr 24 poz. 124, Nr 75 poz. 474, Nr 106 poz. 675, Nr 119 poz. 804, Nr 130 poz. 871, Nr 149 poz. 996, nr 155 poz. 1043) oraz w związku Uchwałą Nr XVII/24/08 Rady Gminy Rozprza z dnia 30 kwietnia 2008 roku w sprawie przystąpienia do sporządzenia miejscowego planu zagospodarowania przestrzennego dla terenu położonego w miejscowości Mierzyn, gmina Rozprza obejmującego działki o nr ewid. 910, 911 oraz fragment działek nr ewid. 878 i 841



 
 
Rada Gminy uchwala, co następuje:
 
 
Rozdział 1
Przepisy ogólne
 
§ 1. 1. Przedmiotem uchwały są ustalenia miejscowego planu zagospodarowania przestrzennego terenu obejmującego działki nr 910 i 911 oraz fragment działek nr 878 i 841 w Mierzynie gmina Rozprza, zwanego dalej „planem” wraz z:
1)      rysunkiem planu, wykonanym na mapie sytuacyjno-wysokościowej w skali 1:1.000 – stanowiącym załącznik nr 1 do uchwały;
2)      rozstrzygnięciem o sposobie rozpatrzenia uwag wniesionych do wyłożonego do publicznego wglądu projektu planu – stanowiącym załącznik nr 2 do uchwały;
3)      rozstrzygnięciem o sposobie realizacji, zapisanych w planie inwestycji z zakresu infrastruktury technicznej, które należą do zadań własnych gminy – stanowiącym załącznik nr 3 do uchwały.
2. Stwierdza się zgodność z ustaleniami Studium uwarunkowań i kierunków zagospodarowania przestrzennego gminy Rozprza.
 
 
 
 
§ 2. Ilekroć w uchwale jest mowa o:
1)      uchwale – należy przez to rozumieć niniejszą uchwałę, o ile z treści przepisu nie wynika inaczej;
2)      planie – należy przez to rozumieć ustalenia miejscowego planu zagospodarowania przestrzennego stanowiącego przepis gminy;
3)      rysunku planu – należy przez to rozumieć rysunek planu na mapie sytuacyjno-wysokościowej w skali 1:1.000, stanowiący załącznik do niniejszej uchwały;
4)      terenie – należy przez to rozmieć teren ograniczony na rysunku planu liniami rozgraniczającymi i symbolem określającym przeznaczenie i zasady zagospodarowania;
5)      przepisach szczególnych – należy przez to rozumieć przepisy ustaw wraz z aktami wykonawczymi;
6)      przeznaczeniu podstawowym – należy przez to rozumieć określony w planie rodzaj przeznaczenia, które jest dominujące na danym terenie;
7)      przeznaczeniu uzupełniającym – należy przez to rozumieć określone rodzaje przeznaczenia, inne niż podstawowe, w ilości nie większej niż 40% powierzchni działki, które uzupełniają przeznaczenie podstawowe, a nie są z nim sprzeczne;
8)      linii rozgraniczającej – należy przez to rozumieć granice pomiędzy terenem o różnym sposobie użytkowania, zagospodarowania lub różnym przeznaczeniu podstawowym i różnej funkcji, ustalone niniejszym planem;
9)      nieprzekraczalnej linii zabudowy – należy przez to rozumieć możliwość swobodnego sytuowania budynków (nadziemnych i podziemnych części obiektów kubaturowych) lecz bez prawa przekroczenia tej linii;
10)  obowiązującej linii zabudowy – należy przez to rozumieć obowiązek lokalizacji budynku w tej linii, tzn. że w wyznaczonej linii znajdzie się płaszczyzna lica budynku i że co najmniej 70 % powierzchni frontowej elewacji budynku znajduje się przy linii zabudowy i leży w płaszczyźnie pionowej wyznaczonej przez tę linię;
11)  powierzchni biologicznie czynnej – należy przez to rozumieć część powierzchni wyodrębnionego terenu, która nie zostanie zabudowana ani utwardzona nawierzchnią trwałą, lecz zagospodarowana jako tereny zielone lub wodne.
 
§ 3. Plan ustala:
1)      przeznaczenie terenów oraz linie rozgraniczające tereny o różnym przeznaczeniu lub różnych zasadach zagospodarowania;
2)      parametry i wskaźniki kształtowania zabudowy oraz zagospodarowania terenu;
3)      zasady ochrony środowiska, przyrody i krajobrazu;
4)      zasady kształtowania ładu przestrzennego;
5)      zasady obsługi w zakresie komunikacji;
6)      zasady obsługi w zakresie infrastruktury technicznej.
 
 
§ 4. 1. Integralną częścią planu jest rysunek planu w skali 1:1.000, stanowiący załącznik graficzny do niniejszej uchwały.
2. Następujące oznaczenia graficzne na rysunku planu, są obowiązującymi ustaleniami planu:
1)      granica obowiązywania ustaleń planu;
2)      przeznaczenie terenów wraz z liniami rozgraniczającymi tereny o różnym przeznaczeniu lub różnych zasadach zagospodarowania;
3)      przebieg dróg publicznych i ich klas;
4)      obowiązujące i nieprzekraczalne linie zabudowy.
3. Inne oznaczenia na rysunku planu mają charakter informacyjny.
Rozdział 2
Ustalenia ogólne w zakresie przeznaczenia terenu
 
§ 5. Ustala się następujące symbole określające w planie podstawowe formy przeznaczenia i zagospodarowania terenów:
1)      MN – tereny zabudowy mieszkaniowej jednorodzinnej;
2)      U – tereny zabudowy usługowej;
3)      ZP/US – teren zieleni urządzonej z funkcją usług sportu i rekreacji;
4)      NO – teren oczyszczalni ścieków;
5)      E – teren stacji transformatorowej SN/NN;
6)      KDL – tereny dróg publicznych klasy lokalnej;
7)      KDD – tereny dróg publicznych klasy dojazdowej;
8)      KDP – teren ciągu pieszego.
 
 
  § 6. Na terenie, objętym planem, ustala się:
1)      tereny, oznaczone na rysunku planem symbolem MN, na których dopuszcza się lokalizację funkcji mieszkaniowej, zalicza się do terenów „pod zabudowę mieszkaniową” w rozumieniu przepisów szczególnych; pozostałe tereny nie są zaliczane do terenów chronionych akustycznie;
2)      jako tereny przeznaczone pod realizację celów publicznych:
a)      tereny, oznaczone na rysunku planu symbolem NO – pod lokalizację oczyszczalni ścieków i E – pod lokalizację stacji transformatorowej,
b)     tereny, oznaczone na rysunku planu symbolami KDL, KDD i KDP – jako nowe i istniejące drogi publiczne i ciąg pieszy, w parametrach określonych w przepisach szczególnych i niniejszej uchwale, wraz z infrastrukturą techniczną;
3)      jako tereny pełniące funkcje przestrzeni publicznych – ogólnodostępnych i mających znaczenie dla zaspokajania potrzeb mieszkańców – oznaczone na rysunku planu symbolami ZP/US oraz 02KDL, 03KDD, 04KDD i KDP:
a)      zagospodarowanie elementami małej architektury jak ławki, latarnie itp.,
b)     zagospodarowanie w sposób umożliwiający swobodne funkcjonowanie osobom niepełnosprawnym ruchowo,
c)      zakaz realizacji wolnostojących nośników reklamowych
d)     nakaz zharmonizowania poszczególnych elementów przestrzeni w zakresie kolorystyki, materiałów użytych do budowy nawierzchni jezdni i chodników;
4)      parametry działek budowlanych określone w niniejszej uchwale nie dotyczą urządzeń infrastruktury technicznej, działek przeznaczonych pod drogi oraz działek powstających z podziałów w celu regulacji stanu prawnego, której celem nie jest wydzielanie nowych działek budowlanych;
5)      możliwość realizacji nieprzewidzianej w niniejszym planie infrastruktury technicznej, bądź jej zmiany na wszystkich obszarach w razie wystąpienia takiej potrzeby, pod warunkiem maksymalnego respektowania funkcji danego terenu, zgodnie z przepisami szczególnymi;
6)      zakaz lokalizacji przedsięwzięć mogących zawsze znacząco oddziaływać na środowisko oraz przedsięwzięć mogących potencjalnie znacząco oddziaływać na środowisko w rozumieniu przepisów szczególnych, za wyjątkiem: infrastruktury komunikacyjnej i infrastruktury technicznej;
7)      w zakresie zasad tymczasowego zagospodarowania, urządzania i użytkowania terenu ustala się, że do czasu zagospodarowania terenów zgodnie z niniejszym planem, obowiązuje ich wykorzystanie w sposób dotychczasowy;
8)      w ramach ochrony środowiska przyrodniczego zaleca się zachowanie i ochronę istniejących grup zieleni znajdujących się na terenie nieruchomości.
 
 
Rozdział 3
Warunki zabudowy i zagospodarowania terenu
 
§ 7. Dla terenów, oznaczonych na rysunku planu symbolem MN, ustala się:
1)      przeznaczenie podstawowe – zabudowa mieszkaniowa jednorodzinna, wolnostojąca z możliwością wydzielenia lokalu usługowego, zgodnie z przepisami szczególnymi;
2)      przeznaczenie uzupełniające – zabudowa usługowa rzemieślnicza, drobna wytwórczość itp. z wyłączeniem usług produkcyjnych, transportowych oraz związanych z potrzebą obsługi komunikacji o nośności powyżej 3 ton;
3)      dla zabudowy o przeznaczeniu podstawowym, obowiązują następujące wskaźniki kształtowania zabudowy:
a)       maksymalna powierzchnia zabudowy 30 % powierzchni działki,
b)       maksymalna wysokość zabudowy 10 m do kalenicy,
c)       dachy dwu- lub wielospadowe o kącie nachylenia połaci dachowych 18o – 40o, kierunek głównej kalenicy dachu równoległy w stosunku do frontu działki,
d)       budynki gospodarcze i garażowe dopuszcza się jako wbudowane lub dobudowane do budynku mieszkalnego jednorodzinnego, bądź jako wolnostojące,
e)       w przypadku obiektów dobudowywanych do budynku mieszkalnego jednorodzinnego, dach musi stanowić kontynuację dachu budynku mieszkalnego,
f)         zakaz lokalizacji budynków mieszkalnych w odległości 1,5 m lub bezpośrednio przy granicy działki sąsiedniej,
g)       maksymalna wysokość budynków gospodarczych i garażowych 5 m do kalenicy dla dachów dwu-, wielo- lub jednospadowych oraz 3 m do gzymsu dla dachów płaskich,
h)       ogrodzenia ażurowe uzupełnione zielenią; zakaz stosowania betonowych prefabrykatów od strony przestrzeni publicznych i frontu działek,
i)         zakaz stosowania jako materiałów wykończeniowych okładzin winylowych typu siding,
j)         w pokryciach dachu i elewacjach zakaz stosowania kolorów jaskrawych kontrastujących z otoczeniem;
4)      dla zabudowy o przeznaczeniu uzupełniającym obowiązują następujące wskaźniki kształtowania zabudowy:
a)       maksymalna powierzchnia zabudowy – 15 % powierzchni działki,
b)       zakaz realizacji przedsięwzięć, których oddziaływanie może przekraczać granice działki, na której są zlokalizowane, za wyjątkiem inwestycji celu publicznego,
c)       maksymalna wysokość – 5 m do gzymsu,
d)       dopuszcza się dachy o kącie nachylenia połaci dachowych 18o – 30o; możliwość zastosowania dachów płaskich,
e)       obowiązek nawiązania architektonicznego formą, gabarytem, materiałem elewacji i pokryciem dachu do budynku mieszkalnego,
f)         obowiązuje zabudowa bezpośrednio przy granicy działek sąsiednich, zgodnie z rysunkiem planu przy spełnieniu zasady, iż części wspólne stykającej się ściany stanowią minimum 70 % powierzchni; dla działek zlokalizowanych przy granicy z działkami o numerach ewidencyjnych 904, 906, 908, 912/1, 912/3, 913 obowiązuje zachowanie odległości od nich, zgodnie z przepisami szczególnymi;
5)      udział powierzchni biologicznie czynnej – minimum 40 % powierzchni działki;
6)      nieprzekraczalne i obowiązujące linie zabudowy zgodnie z rysunkiem planu;
7)      podział nieruchomości zgodnie z liniami podziału na działki budowlane, pokazanymi na rysunku planu. Dopuszcza się przesunięcie granic podziału ± 10 % pod warunkiem, że minimalna powierzchnia działki wyniesie 1.200 m2;
8)      obowiązuje zapewnienie miejsc postojowych lub garażowych zgodnie z § 20;
9)      obsługa komunikacyjna zgodnie z rysunkiem planu.
 
 
§ 8. Dla terenów, oznaczonych na rysunku planu symbolem U, ustala się:
1)      przeznaczenie podstawowe – zabudowa usługowa związana z obsługą zabudowy mieszkaniowej (handel, gastronomia itp.);
2)      przeznaczenie uzupełniające – zieleń urządzona, parking;
3)      dla zabudowy o przeznaczeniu podstawowym, obowiązują następujące wskaźniki kształtowania zabudowy:
a)       maksymalna powierzchnia zabudowy – 50 % powierzchni działki,
b)       maksymalna wysokość zabudowy – 8 m do kalenicy dla dachów dwu- lub wielospadowych, oraz 6 m do gzymsu dla dachów płaskich,
c)       kąt pochylenia połaci dachowych do 40o,
d)       ogrodzenia ażurowe uzupełnione zielenią; zakaz stosowania betonowych prefabrykowanych od strony przestrzeni publicznych,
e)       zakaz stosowania jako materiałów wykończeniowych okładzin winylowych typu siding,
f)         w pokryciu dachu i elewacji zakaz stosowania kolorów jaskrawych kontrastujących z otoczeniem;
4)      udział powierzchni biologicznie czynnej – minimum 20 % powierzchni działki;
5)      zakaz podziału na nowe działki budowlane;
6)      zakaz lokalizacji tymczasowych obiektów budowlanych;
7)      nieprzekraczalne linie zabudowy zgodnie z rysunkiem planu;
8)      obowiązuje zapewnienie miejsc postojowych zgodnie z § 20;
9)      obsługa komunikacyjna zgodnie z rysunkiem planu.
 
 
§ 9. Dla terenu, oznaczonego na rysunku planu symbolem ZP/US, ustala się:
1)      przeznaczenie podstawowe – zieleń publiczna, terenowe urządzenia sportowo-rekreacyjne (boiska, place do gier i zabaw itp.);
2)      przeznaczenie uzupełniające – zabudowa związana z funkcją podstawową (gospodarcza, szatnie, sanitariaty, zaplecze itp.);
3)      dla zabudowy obowiązują następujące wskaźniki i parametry kształtowania zabudowy:
a)       maksymalna powierzchnia zabudowy – 10 % powierzchni działki,
b)       maksymalna wysokość zabudowy 6 m do kalenicy przy dachach dwu- lub wielospadowych oraz 4 m do gzymsu przy dachach płaskich,
c)       kąt pochylenia połaci dachowych do 40o;
4)      zakaz lokalizacji tymczasowych obiektów budowlanych;
5)      udział powierzchni biologicznie czynnej – minimum 70 % powierzchni działki,
6)      nieprzekraczalne linie zabudowy zgodnie z rysunkiem planu;
7)      obowiązuje zapewnienie miejsc postojowych zgodnie z § 20;
8)      obsługa komunikacyjna zgodnie z rysunkiem planu.
 
 
 
 
§ 10. Dla terenu, oznaczonego na rysunku planu symbolem NO, ustala się jako przeznaczenie podstawowe – teren oczyszczalni ścieków wraz z infrastrukturą techniczną.
1)      dla zabudowy obowiązują następujące wskaźniki i parametry kształtowania zabudowy:
a)         maksymalna powierzchnia zabudowy – 70 % powierzchni działki,
b)         maksymalna wysokość zabudowy 6 m do kalenicy przy dachach dwu- lub wielospadowych, oraz 4 m do gzymsu przy dachach płaskich,
c)         kąt pochylenia połaci dachowych do 40o;
2)      udział powierzchni biologicznie czynnej – minimum 10 % powierzchni działki;
3)      realizacja obiektu i urządzeń zgodnie z przepisami szczególnymi;
4)      nieprzekraczalne linie zabudowy zgodnie z rysunkiem planu;
5)      obsługa komunikacyjna zgodnie z rysunkiem planu.
 
 
§ 11. Dla terenu, oznaczonego na rysunku planu symbolem E, ustala się jako przeznaczenie podstawowe – teren stacji transformatorowej.
1)         udział powierzchni biologicznie czynnej – minimum 10 % powierzchni działki;
2)         wielkość terenu pod lokalizację słupowej stacji transformatorowej wynosi 3 m x 3 m;
3)         realizacja obiektu i urządzeń zgodnie z przepisami szczególnymi;
4)         obsługa komunikacyjna zgodnie z rysunkiem planu.
 
 
 
Rozdział 4
Ustalenia dotyczące zasad obsługi w zakresie infrastruktury technicznej
 
 
§ 12. W zakresie zaopatrzenia w wodę:
1)      zaopatrzenie terenów wyznaczonych w planie na cele zabudowy z systemu zbiorczego doprowadzenia wody z istniejącego wodociągu wiejskiego w Mierzynie i wykonaniu sieci osiedlowej. Końcówka wodociągu wiejskiego ø 110 pcv znajduje się w drodze prowadzącej do Kolonii Mierzyn, która to droga stanowi granicę obrębu Rajsko Małe i Mierzyn;
2)      budowa sieci wodociągowej w liniach rozgraniczających dróg na warunkach określonych przez zarządcę drogi i dostawcę wody;
3)      sieć wodociągową wyposażyć w hydranty nadziemne p.poż. zgodnie z przepisami szczególnymi.
 
 
§ 13. W zakresie odprowadzania ścieków:
1)      odprowadzanie ścieków sanitarnych przez realizację układu kanalizacji osiedlowej;
2)      dopuszcza się czasowo odprowadzanie ścieków do przydomowych odbiorników nieczystości, z zaleceniem bliźniaczenia urządzeń na sąsiednich działkach;
3)      oczyszczanie ścieków:
a)       w pierwszym etapie w projektowanej zblokowanej konstrukcyjnie i technologicznie osiedlowej mechaniczno-biologicznej oczyszczalni ścieków,
b)       docelowo po skanalizowaniu całej miejscowości Mierzyn, w oczyszczalni ścieków zlokalizowanej dla tej miejscowości;
4)      budowa rozdzielczej sieci kanalizacyjnej w liniach rozgraniczających dróg na warunkach określonych przez zarządcę drogi;
5)      zakaz odprowadzania nieoczyszczonych ścieków do wód powierzchniowych i gruntowych;
6)      odprowadzanie wód opadowych poprzez spływ powierzchniowy. W wypadku realizacji ciągów zorganizowanych – odprowadzanie do odbiornika po uprzednim mechanicznym oczyszczeniu.
 
 
§ 14. W zakresie zaopatrzenia w gaz:
1)      do celów bytowo-gospodarczych gaz płynny w butlach;
2)      po gazyfikacji miejscowości gazem ziemnym można przewidywać doprowadzenie gazu przewodowego średniego ciśnienia zależnie od zainteresowania odbiorców.
 
 
§ 15. W zakresie zaopatrzenia w energię elektryczną:
1)      zaopatrzenie odbiorców z przebiegającej przez teren linii elektroenergetycznej 15 kV po wykonaniu stacji transformatorowej 15/0,4 kV i linii niskiego napięcia;
2)      przełożenie odcinka linii 15 kV w granicach jej kolizji z projektowaną zabudową;
3)      budowa sieci i urządzeń elektroenergetycznych w uzgodnieniu z gestorem sieci;
4)      ewentualna konieczność przesunięcia lokalizacji stacji transformatorowej nie wymaga zmiany niniejszej uchwały;
5)      wzdłuż linii 15 kV obowiązuje zakaz zabudowy w strefie ochronnej o szerokości po 7,5 m z obu stron osi linii z racji oddziaływania pól elektromagnetycznych.
 
 
§ 16. W zakresie zaopatrzenia w ciepło:
1)      zaopatrzenie z lokalnych źródeł ciepła przy wykorzystaniu ekologicznych nośników energii (prąd elektryczny, olej opałowy niskosiarkowy, energia odnawialna, wierzba energetyczna, bądź inne nośniki spalane w urządzeniach o wysokim poziomie czystości emisji).
 
 
§ 17. W zakresie telekomunikacji:
1)      zaopatrzenie w łącza telefoniczne z sieci istniejącej w liniach rozgraniczających dróg;
2)      obsługa abonentów za pośrednictwem indywidualnych podłączeń stacjonarnych i aktywacji telefonów komórkowych na warunkach określonych przez operatorów sieci i systemów.
 
 
§ 18. W zakresie gospodarki odpadami:
1)      obowiązek zbiórki odpadów komunalnych w miejscach wyznaczonych w obrębie każdej nieruchomości z wprowadzeniem ich segregacji;
2)      zbiórka, transport, odzysk, składowanie, unieszkodliwianie, postępowanie z odpadami niebezpiecznymi według zasad określonych w przyjętym Uchwałą Rady Gminy programie ochrony środowiska i planie gospodarki odpadami w gminie Rozprza.
 
 
 
 
 
 
Rozdział 5
Ustalenia obsługi w zakresie komunikacji
 
§ 19. Tereny, oznaczone na rysunku planu symbolami KD przeznaczone są na przebieg dróg, dla których ustala się następujące warunki:
1)      tereny oznaczony symbolem 01KDL – istniejąca, gminna (nr 3065714) droga publiczna klasy lokalnej:
a)      szerokość pasa ulicznego w liniach rozgraniczających 12,0 m wraz z poszerzeniami na skrzyżowaniach, zgodnie z rysunkiem planu,
b)     jedną jezdnię z dwoma pasami ruchu o szerokości 3,0 m każdy,
c)      w liniach rozgraniczających ulic możliwość lokalizacji sieci i urządzeń infrastruktury technicznej, przy uwzględnieniu wymagań określonych w przepisach szczególnych,
d)     możliwość lokalizacji elementów małej architektury, jak: słupy ogłoszeniowe, kosze na śmieci, elementy dekoracyjne itp.;
2)      teren oznaczony symbolem 02KDL – droga publiczna klasy lokalnej:
a)       szerokość pasa ulicznego w liniach rozgraniczających 12,0 m wraz z poszerzeniami na skrzyżowaniach, zgodnie z rysunkiem planu,
b)       jedną jezdnię z dwoma pasami ruchu o szerokości 3,0 m każdy,
c)       w liniach rozgraniczających ulic możliwość lokalizacji sieci i urządzeń infrastruktury technicznej, przy uwzględnieniu wymagań określonych w przepisach szczególnych,
d)       możliwość lokalizacji elementów małej architektury, jak: słupy ogłoszeniowe, kosze na śmieci, elementy dekoracyjne itp.;
3)      teren oznaczony symbolem 03KDD i 04KDD – droga publiczna klasy dojazdowej:
a)       szerokość pasa ulicznego w liniach rozgraniczających 10,0 m wraz z poszerzeniami na skrzyżowaniach,
b)       jedną jezdnię z dwoma pasami ruchu o szerokości 2,5 m każdy,
c)       w liniach rozgraniczających ulic możliwość lokalizacji sieci i urządzeń infrastruktury technicznej, przy uwzględnieniu wymagań określonych w przepisach szczególnych,
d)       możliwość lokalizacji elementów małej architektury, jak: słupy ogłoszeniowe, kosze na śmieci, elementy dekoracyjne itp.;
4)      teren oznaczony symbolem KDP – ciąg pieszy o charakterze publicznym:
a)      szerokość pasa w liniach rozgraniczających 5,0 m wraz z poszerzeniami na skrzyżowaniach, zgodnie z rysunkiem planu,
b)     w liniach rozgraniczających możliwość lokalizacji sieci i urządzeń infrastruktury technicznej, przy uwzględnieniu wymagań określonych w przepisach szczególnych,
c)      możliwość lokalizacji elementów małej architektury, jak: słupy ogłoszeniowe, ławki, kosze na śmieci, elementy dekoracyjne itp.
 
 
§ 20. W zakresie wyznaczania miejsc parkingowych lub postojowych na danej nieruchomości, ustala się następujące minimalne wielkości:
1)      zabudowa mieszkaniowa jednorodzinna – 2 stanowiska, wliczając garaż;
2)      restauracje, kawiarnie itp. – 1 stanowisko na 10 miejsc konsumpcyjnych;
3)      obiekty handlowe – 1 stanowisko na 20 m2 powierzchni sprzedaży;
4)      obiekty związane z funkcją usług sportu i rekreacji - 1 stanowisko na 20 m2 powierzchni.
5)      obiekty usługowe zlokalizowane przy zabudowie mieszkaniowej – 2 stanowiska na obiekt.
 
 
 
Rozdział 6
Ustalenia końcowe
 
§ 21. Stawkę procentową służącą naliczeniu opłaty z tytułu wzrostu wartości nieruchomości, w związku z uchwaleniem planu, ustala się na 0 %.
 
 
§ 22. Wykonanie Uchwały powierza się Wójtowi Gminy Rozprza.
 
 
§ 23. Uchwała wchodzi w życie po upływie 30 dni od dnia ogłoszenia w Dzienniku Urzędowym Województwa Łódzkiego.

załącznik 1 (2668kB) jpg
załącznik 2 (24kB) pdf
załącznik 3 (25kB) pdf



Opublikował: Anna Harlejczyk (3 marca 2011, 11:41:03)

Ostatnia zmiana: brak zmian
Liczba odsłon: 1762

wersja do zapisu wersja do druku